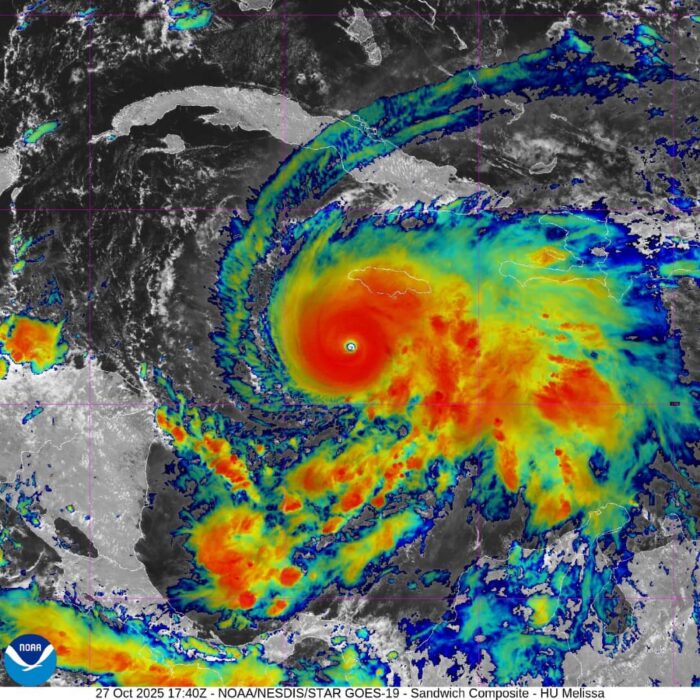
Le Centre de prévisions de l’Institut météorologique cubain (Insmet) indique dans son avis de cyclone tropical n° 16 que l’ouragan Melissa continue de gagner en intensité et commence à se déplacer lentement vers le nord-ouest.
La vitesse maximale des vents soutenus a atteint 280 kilomètres par heure, avec des rafales plus fortes, et sa pression centrale a chuté à 906 hectopascals, ce qui en fait un ouragan majeur de catégorie 5 sur l’échelle de Saffir-Simpson.
À 18 h ce jour, l’œil de l’ouragan était estimé à 16,7 degrés de latitude nord et 78,4 degrés de longitude ouest, à environ 215 kilomètres au sud-ouest de Kingston (Jamaïque), 350 kilomètres au sud-sud-ouest de Cabo Cruz (Granma) et 460 kilomètres au sud-ouest de Santiago de Cuba.
Melissa se déplace lentement vers le nord-ouest, à une vitesse de progression de six kilomètres par heure.
Au cours des prochaines 24 heures, l’ouragan devrait se décaler progressivement vers le nord, puis se déplacer vers le nord-est, augmentant ainsi sa vitesse, selon l’avis de cyclone tropical n° 16.
Selon la trajectoire prévue, l’œil du système devrait se déplacer près ou au-dessus de la Jamaïque, s’approchant de la côte sud de l’est de Cuba mardi après-midi et soir.

Imagen ilustrativa tomada de Insmet
Melissa connaîtra des fluctuations d’intensité ; il restera toutefois un ouragan majeur lors de son passage en Jamaïque et à Cuba.
Les bandes extérieures de cet ouragan continueront d’accroître la nébulosité et les précipitations dans l’est de Cuba, qui pourraient devenir fortes et intenses par endroits, principalement dans les zones montagneuses.
Les vents souffleront du nord-est à l’est sur une grande partie du pays, avec des vitesses comprises entre 35 et 50 km/h l’après-midi dans les provinces de l’est, avec des rafales plus fortes, qui atteindront la force d’une tempête tropicale la nuit.
De fortes vagues, avec des vagues de 2,5 à 4 mètres, persisteront au sud des provinces de Granma, Santiago de Cuba et Guantánamo, avec des inondations légères à modérées dans les zones basses de cette côte.
Le Centre de prévision de l’Institut de météorologie surveille de près l’évolution et la trajectoire future de cet ouragan intense.
La prochaine alerte cyclonique tropicale sera émise à minuit ce lundi.
Source : Insmet
